Dopravný podnik Bratislava, akciová spoločnosť (DPB) vyhlásil v systéme zákazku na stavebné práce na električkovej trati v priestore Námestia SNP – juh a v napojení zo Špitálskej ulice. Ide o úpravu koľajového zvršku a výhybiek v časti koľajového triangla a zároveň o vybudovanie novej električkovej zastávky Centrum. Podľa DPB má byť projekt technicky aj časovo koordinovaný s projektom hlavného mesta Živé námestie. Predpokladaná hodnota je 1 197 740,45 eura bez uvedenia DPH v zdroji. Kritériom vyhodnotenia ponúk má byť najnižšia cena.

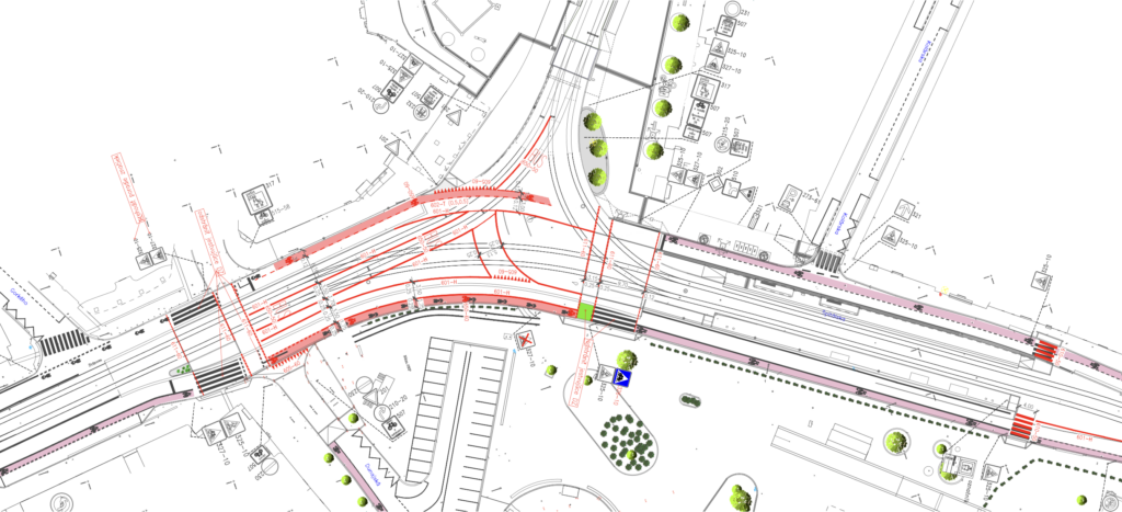
Čo sa má na trati zmeniť: zrušenie koľaje, posun výhybky a nová zastávka Centrum
Na Špitálskej ulici sa zruší súčasná odbočovacia električková koľaj smerom na Námestie SNP. Namiesto nej vznikne nová, plnohodnotná zastávka Centrum, ktorá bude posunutá bližšie ku križovatke. Táto zmena má zjednodušiť usporiadanie trate a zároveň lepšie využiť priestor v tomto rušnom dopravnom uzle.

Výhybka, ktorá dnes umožňuje odbočenie smerom na Štúrovu a Námestie SNP, sa presunie až za novú zastávku. V praxi to znamená, že električky budú najskôr zastavovať a až potom sa budú zaraďovať do smeru jazdy. Nástupište bude vybavené dvoma prístreškami a jeho poloha má zlepšiť prestupy aj pohyb chodcov v okolí Námestia SNP a Kamenného námestia. Súčasťou úprav bude aj lepšie napojenie cyklopruhov zo Štúrovej ulice na Špitálsku, čo má zvýšiť komfort a bezpečnosť pre cyklistov.

Premárnená šanca na pohodlný prestup medzi linkami
Napriek plánovaným úpravám ide zároveň o premárnenú príležitosť zásadnejšie zlepšiť prestupy v uzle Centrum. Projekt totiž neráta s vybudovaním spoločnej zastávky pre linky 1 a 4 až za križovatkou na úrovni Manderláku, kde by to pri väčšej investícii priestorové možnosti umožňovali. Takéto riešenie by prinieslo komfortný prestup „na hrane“ medzi linkami bez nutnosti presunu. Namiesto toho sa zachová súčasný stav, pri ktorom musia cestujúci medzi zastávkami prechádzať pešo, čo znižuje atraktivitu verejnej dopravy v tomto kľúčovom bode centra mesta.


Dve pracovné etapy a zachovanie prevádzky na vybraných vetvách
DPB uvádza, že stavebné práce majú byť realizované v dvoch na seba nadväzujúcich pracovných etapách podľa požiadaviek dopravného podniku. V prvej etape sa má vybudovať nová zastávka Centrum smer Jesenského a časť koľajového trojuholníka od Špitálskej ulice s odbočením na Námestie SNP. Počas tejto etapy má byť električková trať v úseku Štúrová – Námestie SNP v prevádzke.
V druhej etape sa má opraviť napojenie Štúrová – Námestie SNP a v prevádzke má byť úsek z prvej etapy v napojení Špitálska – Námestie SNP s využívaním novej električkovej zastávky Centrum. DPB počíta s realizáciou v termíne od 27. júna do 23. augusta 2026. Organizácia výstavby má deliť práce na dve časti: prvá má trvať približne 10 dní (výmena koľajníc v triangli v smere Štúrova – Námestie SNP obojsmerne) a druhá približne 6 týždňov (prestavba trate na Špitálskej a vybudovanie nového nástupišťa).
Rekonštrukcia má výraznejšie ovplyvniť premávku električiek cez uzol Centrum. V prvej etape sa podľa uvedeného plánu uvažuje s obmedzením prejazdu medzi Námestím SNP/Špitálskou a Štúrovou ulicou, pričom prejazdný má zostať smer Špitálska – Námestie SNP. V druhej etape sa má obmedzenie týkať smeru Špitálska – Námestie SNP/Štúrova obojsmerne, čo má zasiahnuť najmä linky 3 a 4. Súčasťou dočasných opatrení má byť aj zriadenie dočasnej zastávky na Jesenského v smere na Šafárikovo námestie.
Napojenie na „Živé námestie“ a ďalšie kroky v obstarávaní
DPB v podkladoch zdôrazňuje, že projekt dopĺňa mestský projekt „Živé námestie“ a má byť s ním koordinovaný. Z pohľadu verejného priestoru má byť významným výstupom najmä stabilizácia polohy zastávky Centrum a úprava koľajového usporiadania v jednom z najvyťaženejších prestupných uzlov v centre Bratislavy.

Lehota na predkladanie ponúk je podľa zverejnených údajov stanovená na 17. apríla 2026 o 8:00, pričom otváranie ponúk je plánované o minútu neskôr. Zákazka smeruje k uzavretiu jednorázovej zmluvy o dielo.
Zdroj: Dopravný podnik Bratislava
